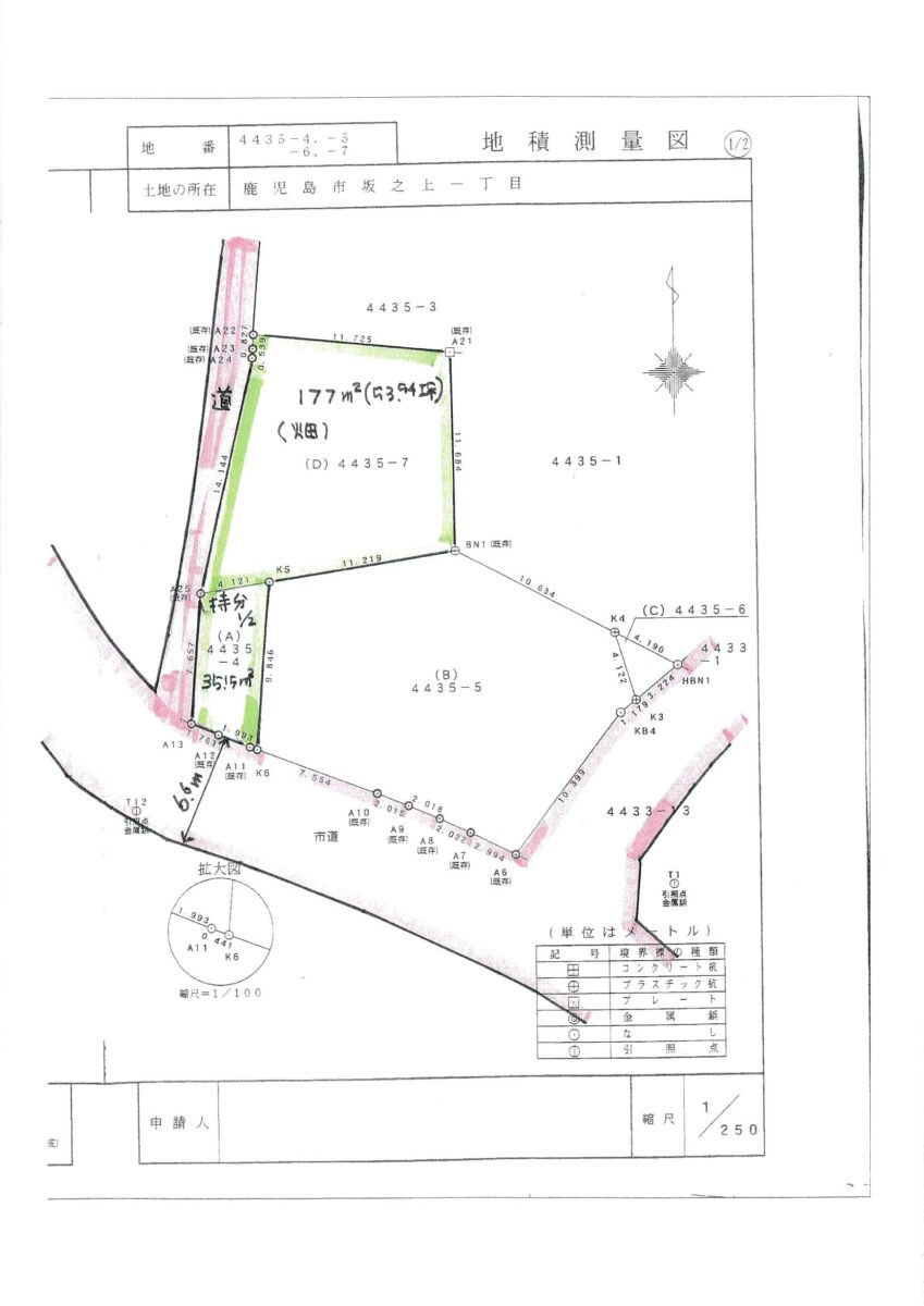
鹿児島市坂之上一丁目、産業道路近くに約53坪の売地をお預かりしました!
南向きで日当たり良好
明るさと開放感をしっかり確保できます♪
和田小学校まで1.8km(徒歩27分)、和田中学校まで1.4km(徒歩21分)
※建築条件付
※農地転用費用 買主負担
※進入路(坂之上1丁目4435-4)は持分1/2
住所:鹿児島市坂之上1丁目4435-7
交通:和田団地下バス停まで徒歩9分 JR指宿枕崎線坂之上駅まで徒歩15分
価格:1,130万円
坪単価:21.1万円
土地面積:約53.54坪(177m2)
| 所在地 | 鹿児島市坂之上1丁目4435-7、4435-4の一部 |
| 私道面積 | - |
| 権利の種類 | 所有権 |
| 借地期間 | - |
| 地目 | 畑 |
| 都市計画 | 市街化区域 |
| 用途地域 | 一種低層 |
| 建ぺい率 | 50% |
| 容積率 | 80% |
| 国土法届出 | 不要 |
| 接道幅等 | 南6m |
| 接道種別 | 公道 |
| 接道接面 | 南4m |
| 接道状況 | 一方 |
| 建築条件 | 有 |
| 設備 | |
| 引渡時期 | 即時 |
| 現況 | 更地 |
| 取引態様 | 専任 |
| 備考 | 農地転用買主負担 |











